こんばんは。お疲れさまです。
寝過ごした!
とんでもない時間まで寝てしもた!( ;∀;)
23時やった、あーびっくりした(笑)
おあ!ヤバい、いろいろもちろん終わってねぇ(笑)
ばんびの目薬目薬~おっちゃんたち待ってる~とか、前向きな寝坊でいいや!ってなりました今夜
なぜならば~
んふ~❤
んふぅ~❤
うれぴーーーーーーーーーーーい!!!
おっちゃんのガンが消えたよ❗❗❗
みんなやったね!!!
でも、みんないつも病院に行けば落ち込んで帰ってくることや、難しい説明があるから、あたしから言わなければ誰も聞いて来ない。
でも!
今日は一言❗
おっちゃんの肺の影が、ガンが消えたよ!!!
(σ≧▽≦)σ
なんかまだ実感がない、みんなも(笑)
ほうらね!
ほうら!
このデカ忌々しいやつがない!↓
ほうら!
どうだ!うちのおとめはすごいだろう!(σ≧▽≦)σ
いつもの経過検査の日。
採血をして
レントゲンを撮るか取らないか毎回聞く先生(笑)
それこそ、現状維持で万々歳だし、現状維持だろうと思ってらっしゃったので
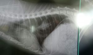
画像が出たようで、初めて聞きましたよ、先生の大き目の声。
「岡さん!ちょっと!」って
は、はい!!
と、モニターに行く時に、なんかにやけてドヤってる??
あたしも見てすぐ
「消えた!!」
「ない!!消えた!!」
「すごいですよ、どの先生が見ても、これが転移巣だとは判断がつきにくいか、分からない程です」
「いや、これはすごいですよ」
って話ながら、先生よだれ垂らしたんですよ(笑)
「あ、先生今よだれ垂らしました?(笑)」
とか、爆笑なんてありえない、いつもモニターの前で2人でうーんうーん・・・ってしてるのに。
実感がないです。
すごいことなんですよね・・・すごいことですよね・・・
腫瘍が消えるという、まさかの結果が。
根治した訳ではありませんが、いままでも尽くしても尽くしても結果が出ない病の子もたくさんいたから
ほんとにうれしい。
たとえひと時でもいいんです。
そういう病気だし、あたしたちの願いが通じたんだもん。
医食住、目、鼻、口、耳、手、心、愛情、プリティプリティ💛
彼女の手助けになりうるあたしたちのすべてを、出し切る。
それが人事を尽くすという事。
うちもれなく全員あきらめが悪いからね(笑)
あきらめるのだけは絶対に嫌だ。
なぜなら、これまで出会ったすべての子たち、あきらめる犬猫いません。
この子達が生きることをあきらめてないのに、あたしがあきらめるなんてできっこない。
幸い、5回目の投与を終えても骨髄抑制が起こらなかったので安堵しましたが
やはり腎機能との戦いとなってきました。
次回、6回目。
通常は最後です。
6回打ったら終わりますが、先については、8回、4週間隔を開けて打つか
抗がん剤の種類を変える、治験的な新薬を試すか
先の話ももちろん大切でしたが
忘れてしまった!!f(^_^;
だって頭の中は、消えた消えた消えた消えた・・・あーみんなに何て言お何て言おしかなかった(笑)
とにかく6回無事終わりたいです。
私が思うに、おとめは、まず性質がストレスを強く受けるタイプではないこと。
発病前の状態も良好であったし
発見した時にはすでに肺転移はあった、悪性度の高いものだったが
瀬尾ちゃんがものすごく小さな段階で見つけてくれた事
十分に早期発見であったと思うし
その日に藤井先生が切除してくれたこと、宮崎に木下先生のような専門医の医療を受けられること
ガンとの戦いって、抗がん剤で叩く!ほんとガン細胞しねー!でも普通の細胞も叩く。
人とは根治の目的ではないことから、副作用を起こさずギリギリで(緩めではガンが勝つ)つまり、かなり緻密な計算や、状態を確認しながら治療をしていきます。
あとはやっぱり日々の生活と管理。
ほかの猫達とあたしたちとの穏やかないつも通りの毎日。
体の免疫力を保ち心落ち着いた生活、QOL。
いろんな力によって、消え去ったんだと思います。
これからも一進一退、一喜一憂です。
でも、とりあえず…
桜が見られる!!ムダな暁の鯉のぼりもかも(笑)
おとなりのぶんたくんちの桜はすごくきれいだよ(^ー^)
ではまた。
そのおうちそのおうちでちがうと思うんですけど(笑)たまに思いません?
うちの猫たちはあたしをなんやと思ってるかな。
なんか優しくしてくれます(笑)
遊んでくれます(笑)
あー生まれ変わるならうちの猫になりたい~なに柄かなあたし(笑)
おちかれさま、おっちゃん(^ー^)






